S-a semnat contractul pentru proiectarea parcării de pe strada George Barițiu

Parcare supraetajată
Vineri, 11 ianuarie 2019, a fost semnat contractul pentru proiectarea parcării supraetajate ce va fi construită în locul fostei baze sportive Voința. Câștigătoarea licitației organizate de Administrația Domeniului Public Oradea a fost desemnată firma Pro-Arh, termenul de finalizare și predare a proiectului fiind de 60 de zile de la semnarea contractului.
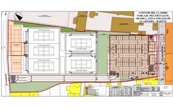
Parcarea care va fi construită pe locul fostei baze sportive Voința, va avea 340 de locuri, din care 325 locuri auto, șase locuri pentru persoanele cu dizabilități și alte nouă pentru motociclete.Este vorba despre o suprafață desfășurată de 8.319 mp, pe care va fi ridicată parcarea propriu-zisă, precum și o clădire administrativă. Terenul pe care urmează să fie construită parcarea este situat într-o zonă accesibilă traficului rutier, într-un perimetru delimitat de arterele majore de circulație de pe străzile Roman Ciorogariu, George Barițiu, Moscovei și Academiei, cu acces dinspre strada George Barițiu.Scopul principal al acestui proiect este îmbunătățirea condițiilor de parcare a autoturismelor din zona centrală a Oradiei și constituie parte din programul privind construirea de parcări supraterane și subterane în zona instituțiilor publice din zona centrală a orașului.
"Prin acest proiect se dorește eliberarea de mașini a carosabilului din zona centrală a Oradiei, respectiv redarea trotuarului pietonilor și oferirea de locuri de parcare în afara carosabilului"
, precizează Liviu Andrica, directorul Administrației Domeniului Public Oradea.Valoarea estimată a contractului a fost de 400.000 lei, iar valoarea contractului încheiat cu firma câștigătoare este 350.000 lei
Citește și:
- 15:50 - Complot dejucat în Serbia: doi bărbați, suspectați că plănuiau asasinarea lui Vučić
- 10:53 - Instagram a lansat Instants. Noua funcție inspirată de Snapchat și BeReal
- 10:34 - Moment emoționant în Sibiu: salvatorii au izbucnit în lacrimi când l-au găsit pe Alex
- 09:45 - Primăriile pot elimina urșii care intră în localități, dar autoritățile spun că intervențiile sunt greu de făcut
Mai multe articole despre
Urmărește știrile Realitatea de Oradea și pe Google News














